Here is a doppler weather radar look at the hurricane as it was making its way to hit land right in the Northern Eastern portion of Nicaragua sometime late last night.
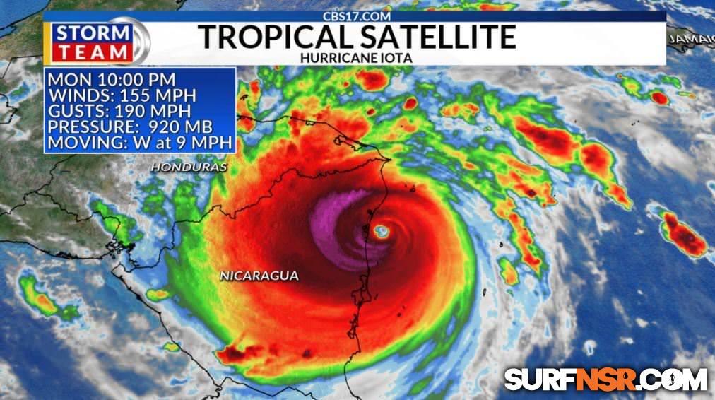
And here is the projected impact zone with a good example of the eye of the Category 5 storm making landfall (top left you can see some of the facts of wind speeds and gusts reaching up to 190 MPH. This hurricane was no joke!
The real view of the destruction and heavy damage coming in yesterday on the east coast.
We were very fortunate here on the west coast as we only had severe rain with a lot of flooding, yet still a lot of people being evacuated from their homes in the middle of the night with no where to go for safety.
It rained hard all night and here’s just a little idea of some of the minor flooding within Hacienda Iguana. I saw minor only because there were a lot of other areas that were way more effected, like places along the swollen rivers and also the danger of mudslides and falling debris and huge trees.
Roads were completely flooded and the rivers which I don’t have any photos of were completely impassable I am almost sure of.
A lot of water where you wound’t normally see it, was pretty much everywhere.
Here are just a few very sad and very real images from last nights deviation for some of the local people. A lot of people had endure this the entire night.
If you really would like to help out, her is a direct link to a legitimate resource for sending very much needed donations to help all the local people who are desperately in need right now. This is a 501(c)3 non profit organization run by the family of one of our colleagues. Donations are tax deductible in the US. We know these funds will go directly to the families in need, many of whom we have known for the last decade. Please help spread the word ❤️CLICK TO DONATE HERE!!!!
The paradise that we all love has been completely annihilated, so any help you can send will be so greatly appreciated by so many during this time of need!!!
Everyone here at NSR and so many more other people as well are doing their best to help in any way shape or form in helping to alleviate the pain and loss many of the local people have had to endure. We’ll keep you posted as the photos, progress and continued help and support keep coming in. Huge THANK YOU to EVERYONE helping here on the ground…. your tireless efforts are noticed by all and we will all get through this tough time. Saludos, y Gracias A dios!!!!
RECENT REPORTS
Hey everyone! Welcome to Thursday afternoon’s surf report from Colorados. The size and consistency dropped notably from yesterday and this morning. There were still a few little corners to be found though.
Hey everyone! Josh back behind the lens for the next few days. Welcome to Wednesday morning’s surf report from Playa Colorado. The size was down notably from yesterday, but there were still a few clean corners. It was fast and the sets were stretching across the beach though. This guy got some good ones and..
FROM THE ARCHIVES
Happy Sunday Folks! Brian here bringing you the weekend close-off surf report. We had some beautiful clear warm water with nice offshores helping to sculpt the waves that were in the 2-4 foot range today. Not a bad way to enjoy your Sunday here, eh?!